过滤器,你了解多少?(一)
过滤器是如何工作的
空气中的尘埃粒子,或随气流运动,或作无规则运动,或受某种场力的作用而移动。当运动中的粒子撞到障碍物,粒子与障碍物表面间存在的范德瓦尔斯力使他们粘在一起。?
范德瓦尔斯力也称“范德华力”,是指两个物体接触时,表面间存在一种微小的引力,它不是人们熟悉的万有引力,不是磁力,也不是静电力,它是一种分子与分子、分子团与分子团之间的力。
从微观上讲,单个原子或分子中带负电的电子云有个中心,带正电的原子核也有个中心,当这两个中心不重合,就产生电偶矩。单个偶极可能瞬息万变,也可能相对稳定,但多个偶极凑在一起,就会对周围物体产生引力。这种引力很微弱,其量值比化学键小1~2个数量级。它的作用区间也很窄,距离大了引力消失;距离太近(<7?)时电子云重叠,相邻分子又互相排斥。
过滤器中的过滤介质如迷宫,置身其中的粉尘比平时有更多机会撞击障碍物,并因过滤介质中无处不在的范德瓦尔斯力而留下来。在特定情况下,静电力也参与捕捉粉尘的过程。如果过滤介质带静电,过滤效果会明显改善,其原因之一是静电力使粉尘改变轨迹而撞击障碍物,之二是静电力比范德瓦尔斯力更容易将粉尘粘住。粉尘也可以被人为地加上静电,使他们容易被其他物体吸附,例如静电过滤器和电除尘器。
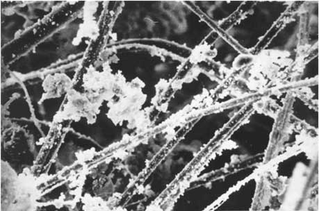
纤维过滤材料既有效地拦截尘埃粒子,又不对气流形成过大阻力。无规则排列的纤维材料符合这些要求。杂乱交织的纤维形成对粉尘的无数道屏障,纤维间宽阔的空间允许气流顺利通过(见图)。 ?
? ? ?
过滤材料与粉尘的电镜照片
?惯性拦截
? ?大粒子在气流中作惯性运动。气流遇障绕行,粒子因惯性偏离气流方向并撞到障碍物上,见图。粒子越大,惯性力越强,撞击障碍物的可能性越大,因此过滤效果越好。
? ?
粉尘撞击过滤材料示意图
扩散拦截
小粒子因无规则的布朗运动撞击障碍物(见上图)。对无规则运动作数学处理时使用传质学中的“扩散”理论,所以有扩散原理一说。粒子越小,无规则运动越剧烈,撞击障碍物的机会越多,因此过滤效果越好。
效率随尘粒大小而异?

过滤效率与粒径的关系
小于0.1 μm(微米)的粒子布朗运动剧烈,主要作扩散运动,粒子越小,撞击过滤介质的几率越大,因此过滤效率越高;大于0.3 μm的粒子主要作惯性运动,粒子越大,效率越高。 ?
在惯性和扩散都不显著的0.1 μm~0.3 μm之间,效率有一处蕞低点,该粒径大小的粉尘很难过滤。
粉尘粒度分布?
在自然界,微小粉尘因布朗运动相互碰撞而聚成大颗粒,大颗粒粉尘又因重力而沉降,碰撞不那么频繁、又不容易沉降的粉尘相对稳定地悬浮在大气中。 ?
室外空气中,按颗粒数量计99.9%的粉尘粒径小于1 μm;若按重量计,占总重量50%~95%的粉尘小于10 μm。?
现代,人类活动扬起大量灰尘,如燃烧、工业污染、建筑活动、汽车等等。与以前相比,我们遇到的粉尘,数量多了,粒径小了,对人体造成的危害也增大了。 ?
空气中的氮氧化物和碳氢化合物,遇到阳光照射,产生光化学反应,气体分子变成颗粒物。反应多了,就形成“霾”。 ? ? ? ? ? ? ? ? ? ? ? ? ? ?
典型颗粒物尺度
美国斯坦福研究所(Stanford Research Institute)的研究人员曾勾画了一张粉尘颗粒度比较图,几十年来,那张图被广泛引用,斯坦福研究所也在不断地修改、补充那张图。下图就是那张粉尘颗粒度比较图。

典型颗粒物尺度
可吸入颗粒物及国家标准?
人的鼻子是个“过滤器”,那里的鼻毛、分泌物和黏膜可以将大多数大于10 μm的粉尘过滤掉,只有小于10 μm的颗粒物才可能进入气管和肺部。因此,官方将“可吸入颗粒物”定义为“空气中≤10 μm的颗粒物”,标为PM10。空气中的全部粉尘量为“总悬浮颗粒物”,去掉其中10 μm以上的粉尘,剩下的就是“可吸入颗粒物”。另有人说≤2.5 μm的颗粒物更容易进入肺部,对人更有害,于是将可吸入颗粒物定义为≤2.5 μm的物质,标为PM2.5。 ?对于室外环境,国家标准(GB3095-1996 环境空气质量标准)规定的总悬浮颗粒物和可吸入颗粒物见表。国家标准(GB/T18883-2002 室内空气质量标准)规定,室内环境中可吸入颗粒物PM10的浓度应≤0.15 mg/m3。
大气平均颗粒物与空气质量级别
| 空气质量级别 | I | II | III | |
| 总悬浮颗粒物,mg/m3 | 年平均? | 0.08 | 0.20 | 0.30 |
| 日平均 | 0.12 | 0.30 | 0.50 | |
| 可吸入颗粒物PM10,mg/m3 | 年平均 | 0.04 | 0.10 | 0.15 |
| 日平均 | 0.05 | 0.15 | 0.25 | |